Brasil e Mundo
-

Déficit comercial dos EUA cai a US$ 70,43 bilhões em agosto
O déficit comercial dos Estados Unidos caiu 10,8% em agosto ante o mês anterior, a US$ 70,43 bilhões, segundo dados…
Leia mais » -

Hamas e Israel: um ano de guerra é marcado com expansão do conflito e mais de 42 mil palestinos mortos
Há exatamente um ano, israelenses acordavam com rastros de fumaça no céu e dezenas de explosões em um ataque surpresa…
Leia mais » -

Em meio a bombardeios, voo para Beirute é atrasado por questão de segurança
O voo que fará a repatriação do primeiro grupo de brasileiros no Líbano será atrasado inicialmente em 24 horas por…
Leia mais » -

Marburg: entenda vírus com potencial pandêmico que preocupa a África
Na última sexta-feira (27), o Ministério da Saúde de Ruanda confirmou casos inéditos no país de infecção pelo vírus Marburg.…
Leia mais » -

Lula condena conflito entre Israel e o Hezbollah no Líbano
Em seu último compromisso na 79ª Assembleia Geral das Nações Unidas (ONU), em Nova York, nesta quarta-feira (25) o presidente…
Leia mais » -

Inglesa morre após fazer ‘lifting de bumbum brasileiro’
A inglesa Alice Webb, 33, passou mal durante o procedimento e morreu em um hospital de Gloucestershire. Ela deu entrada…
Leia mais » -

Outra adolescente brasileira morre após ataques aéreos no Líbano
Mirna Raef Nasser, 16, nasceu em Balneário Camboriú (SC), mas se mudou ainda criança para o Líbano, informou o tio…
Leia mais » -

Ciclista suíça de 18 anos morre após sofrer grave acidente no Campeonato Mundial Júnior
A ciclista suíça Muriel Furrer, de 18 anos, morreu nesta sexta-feira, um dia após ser vítima de um acidente no…
Leia mais » -

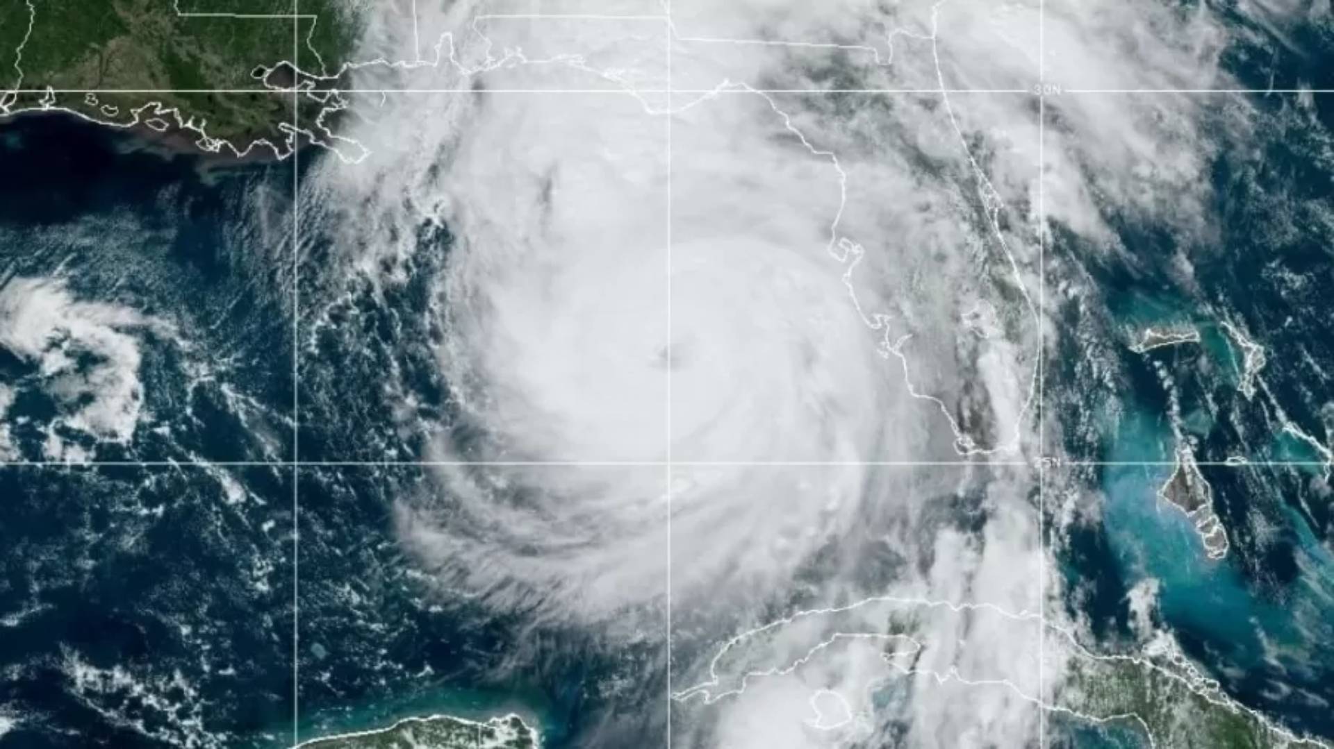
Passagem do furacão Helene mata quase 20 pessoas nos EUA
A passagem do furacão Helene pela costa oeste dos Estados Unidos, nesta sexta-feira (27), deixou ao menos 17 mortos, 4…
Leia mais » -

Líder de Hezbollah, Hassan Nasrallah morre em ataque de Israel
O Hezbollah confirmou neste sábado (28) a morte do líder do grupo Hassan Nasrallah, em um bombardeio de Israel no…
Leia mais »









